Bekanntmachung des Satzungsbeschlusses über die 1. Änderung des Bebauungsplans Nr. 3 „Gegen der Stadt“, Stadtteil Freienhagen der Nationalparkstadt Waldeck, gemäß §10 Abs. 3 des Baugesetzbuches (BauGB)

Veröffentlicht am: 09.01.2024
Autor: Bürgermeister Jürgen Vollbracht
Amtliche Bekanntmachung der Nationalparkstadt Waldeck

Bekanntmachung des Satzungsbeschlusses  

über die 1. Änderung des Bebauungsplans Nr. 3 „Gegen der Stadt“, Stadtteil Freienhagen der Nationalparkstadt Waldeck, gemäß §10 Abs. 3 des Baugesetzbuches (BauGB)

Die Stadtverordnetenversammlung der Nationalparkstadt Waldeck hat in ihrer Sitzung am 30.03.2023 die 1. Änderung des Bebauungsplans Nr. 3 „Gegen der Stadt“, Stadtteil Freienhagen der Nationalparkstadt Waldeck als Satzung beschlossen.

Gemäß § 10 Abs. 3 BauGB in der Fassung der Bekanntmachung vom 03.11.2017 (BGBl. I S. 3634) zuletzt geändert durch Gesetz vom 28.07.2023 (BGBl. 2023 I Nr. 221) tritt der Bebauungsplan Nr. 3 „Gegen der Stadt“, 1. Änderung, Stadtteil Freienhagen der Nationalparkstadt Waldeck mit dieser Bekanntmachung in Kraft.

Abgrenzung

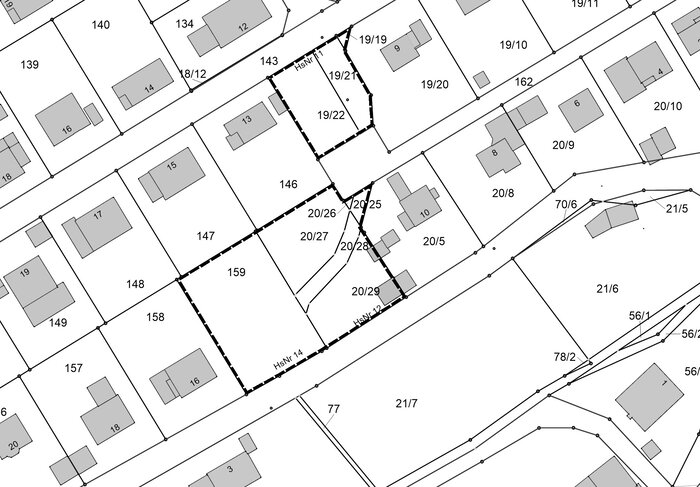
Der Änderungsbereich liegt im Norden des Ortsteils Freienhagen innerhalb des Geltungsbereiches des Bebauungsplans Nr. 3 „Gegen der Stadt“. Von der Änderung des B-Plans werden die Flurstücke 19/19, 19/21, 19/22, 20/25, 20/26. 20/27, 20/28, 20/29 und 159 der Flur 32 in der Gemarkung Waldeck erfasst.

Die Abgrenzung des Geltungsbereiches ist aus der beigefügten Skizze er­sichtlich.

Abgrenzung Gegen der Stadt 1

Geltungsbereich der 1. Änderung des Bebauungsplans Nr. 3 “Gegen der Stadt“, Stadtteil Freienhagen – ohne Maßstab

Die in Kraft gesetzte 1. Änderung des Bebauungsplans Nr. 3 “Gegen der Stadt“, Stadtteil Freienhagen der Nationalparkstadt Waldeck mit zugehöriger Begründung kann beim Magistrat der Nationalparkstadt Waldeck (Stadtverwaltung, Rathaus), Erdgeschoss, Zimmer 3, Am Rathaus 1, 34513 Waldeck, während der Dienststunden

Montag

07:00 Uhr bis 12:00 Uhr und von 13:00 Uhr bis 15:00 Uhr

Dienstag

07:00 Uhr bis 12:00 Uhr und von 13:00 Uhr bis 15:00 Uhr

Mittwoch

07:00 Uhr bis 12:00 Uhr

Donnerstag

07:00 Uhr bis 12:00 Uhr und von 13:00 Uhr bis 18:00 Uhr

Freitag

07:00 Uhr bis 12:00 Uhr

oder nach Vereinbarung, sofern auf die genannten Tage kein gesetzlicher Feiertag fällt, von jedermann eingesehen werden. Auf Verlangen wird über den Inhalt der Bauleitplanung Auskunft gegeben.

Hinweis

Gemäß § 215 Abs. 2 BauGB wird darauf hingewiesen, dass eine nach § 214 Abs. 1 Satz 1 Nr. 1 -3 des BauGB beachtliche Verletzung der dort bezeichneten Verfahrens- und Formvorschriften, ebenso wie ein unter Berücksichtigung des § 214 Abs. 2 BauGB beachtliche Verletzung der Vorschriften über das Verhältnis des Bebauungs- und des Flächennutzungsplans und nach § 214 Abs. 3 Satz 2 beachtliche Mängel des Abwägungsvorgangs, dann unbeachtlich werden, wenn sie nicht innerhalb eines Jahres seit dieser Bekanntmachung schriftlich gegenüber der Nationalparkstadt Waldeck unter Darlegung des die Verletzung begründeten Sachverhalts geltend gemacht worden sind. Satz 1 gilt entsprechend, wenn Fehler nach § 214 Abs. 2a beachtlich sind.

Auf die Vorschriften des § 44 Abs. 3, Satz 1 und 2 sowie Abs. 4 des BauGB über die Entschädigung von durch den Bebauungsplan eintretenden Vermögensnachteilen, sowie über die Fälligkeit und das Erlöschen entsprechende Entschädigungsansprüche, wird hingewiesen.

Waldeck, den 09.01.2024

Der Magistrat der Nationalparkstadt Waldeck

gez. Vollbracht, Bürgermeister